ULTIMA ORA
Diverse

Accuweather dă verdictul: Ce vijelii se abat asupra Texasului în 2026?

Cristian Marinescu

Sezonul uraganelor 2026: Texasul, în continuare sub amenințare

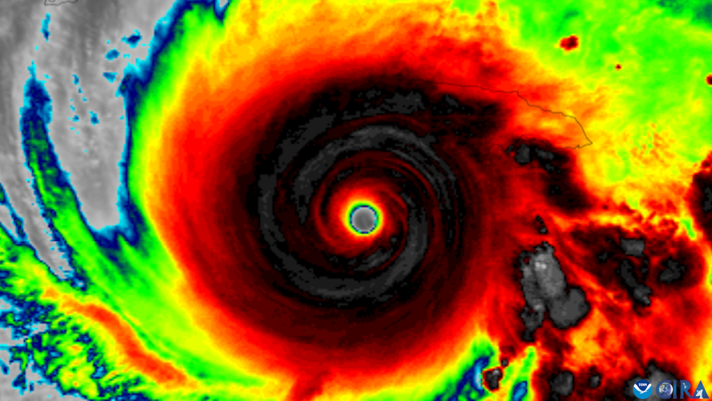
Meteorologii americani de la AccuWeather anticipează un sezon al uraganelor 2026 ușor mai puțin activ decât cel din anul precedent, dar cu un risc semnificativ pentru statele din Golful Mexic, inclusiv Texasul. Estimările arată că între 11 și 16 furtuni cu nume ar putea afecta bazinul Atlanticului, dintre care 4 până la 8 s-ar putea transforma în uragane. Dintre acestea, 1 până la 3 sunt prognozate să devină uragane majore, atingând categoria 3 sau mai mare, cu vânturi ce pot depăși 111 mile pe oră.

Potențialul impact asupra statelor unite

Specialiștii avertizează că între 3 și 6 furtuni ar putea afecta direct Statele Unite ale Americii. Din acest număr, se estimează că 1 până la 3 ar putea lovi coasta Golfului, plasând Texasul și statele vecine într-o zonă de risc considerabilă. O preocupare majoră rămâne intensificarea rapidă a furtunilor, în special în Golful Mexic, unde acestea se pot dezvolta în mod accelerat chiar înainte de a ajunge la uscat, uneori în mai puțin de o zi.

Acest fenomen de intensificare rapidă este o sursă de îngrijorare crescândă pentru autoritățile locale responsabile cu gestionarea situațiilor de urgență de-a lungul coastei texaneze. Anul 2025 a fost un an surprinzător de liniștit pentru Statele Unite, fiind prima dată după 2015 când nu a existat niciun uragan care să lovească direct teritoriul american. Cu toate acestea, în 2025, uraganul Melissa a demonstrat forța impresionantă a fenomenelor meteorologice, atingând viteze ale vântului record în Caraibe.

El niño influențează prognozele

Analizele meteo au identificat un factor cheie care va modela sezonul uraganelor din 2026: potențiala apariție a fenomenului El Niño. El Niño este un model climatic care implică creșterea temperaturilor apelor în estul Pacificului, de-a lungul ecuatorului. Dezvoltarea El Niño poate duce la formarea unor vânturi puternice la altitudini mari deasupra Atlanticului, care ar putea perturba formarea și intensificarea uraganelor.

În concluzie, un sezon mai puțin activ nu înseamnă un sezon liniștit. AccuWeather avertizează că, chiar și într-un sezon mai puțin activ, un singur uragan poate provoca inundații extinse, inundații costiere (storm surge) și vânturi puternice. Pregătirile pentru sezonul uraganelor ar trebui să înceapă acum, nu atunci când o furtună se formează deja în Golful Mexic. Sezonul uraganelor din Atlantic debutează oficial la 1 iunie.